Porządek obrad
1)
Otwarcie obrad XIX Sesji Rady Miasta Płocka.
2)
Wybór Komisji Uchwał i Wniosków.
3)
Analiza realizacji i perspektyw inwestycji strategicznych miasta.
4)
Informacja o zgłoszonych roszczeniach odszkodowawczych i wydanych decyzjach związanych z uchwaleniem lub zmianą miejscowych planów zagospodarowania przestrzennego.
5)
Sprawozdanie z realizacji "Wieloletniego Programu Gospodarowania Mieszkaniowym Zasobem Gminy Miasto Płock w latach 2020- 2024" za 2024 rok.
6)
Przyjęcie protokołu z obrad XVIII Sesji Rady Miasta Płocka z 30 października 2025 roku.
7)
Podjęcie uchwał w sprawach:
I
etap – dyskusja i zgłaszanie wniosków
1.
zmiany Wieloletniej Prognozy Finansowej Gminy-Miasto Płock na lata 2025-2050 (druk nr 370),
2.
zmieniająca Uchwałę Budżetową Miasta Płocka na rok 2025 (druk nr 371),
3.
wydzierżawienia nieruchomości gruntowych stanowiących własność Gminy-Miasto Płock, położonych w Płocku przy ul. Browarnej (obr. 16) (druk nr 353),
4.
wprowadzenia zasad korzystania z placów zabaw, siłowni zewnętrznych, boisk sportowych, fontann miejskich, tężni oraz molo spacerowego zlokalizowanych na terenie Gminy-Miasto Płock (druk nr 354),
5.
zasad udzielania dotacji celowej z budżetu Gminy-Miasto Płock na dofinansowanie kosztów budowy przyłączy kanalizacji sanitarnej do nieruchomości (druk nr 355),
6.
wydzierżawienia nieruchomości gruntowej stanowiącej własność Gminy-Miasto Płock, położonej w Płocku przy u. Zielonej (obr. 12) (druk nr 356),
7.
ustalenia na 2026 rok wysokości opłat za usunięcie pojazdu z drogi na terenie miasta Płocka i przechowywanie go na parkingu strzeżonym oraz wysokości kosztów powstałych w wyniku wydania dyspozycji usunięcia pojazdu, a następnie odstępstwa od jego usunięcia (druk nr 357),
8.
odmowy wyrażenia zgody na przystąpienie do sporządzenia Zintegrowanego planu inwestycyjnego w rejonie ulicy Bielskiej w Płocku (druk nr 358),
9.
wyrażenia zgody na przystąpienie do sporządzenia Zintegrowanego planu inwestycyjnego w rejonie ulicy Bielskiej w Płocku (druk nr 359),
10.
odmowy wyrażenia zgody na przystąpienie do sporządzenia Zintegrowanego planu inwestycyjnego w rejonie ulicy Krakówka w Płocku (druk nr 360),
11.
wyrażenia zgody na przystąpienie do sporządzenia Zintegrowanego planu inwestycyjnego w rejonie ulicy Krakówka w Płocku (druk nr 361),
12.
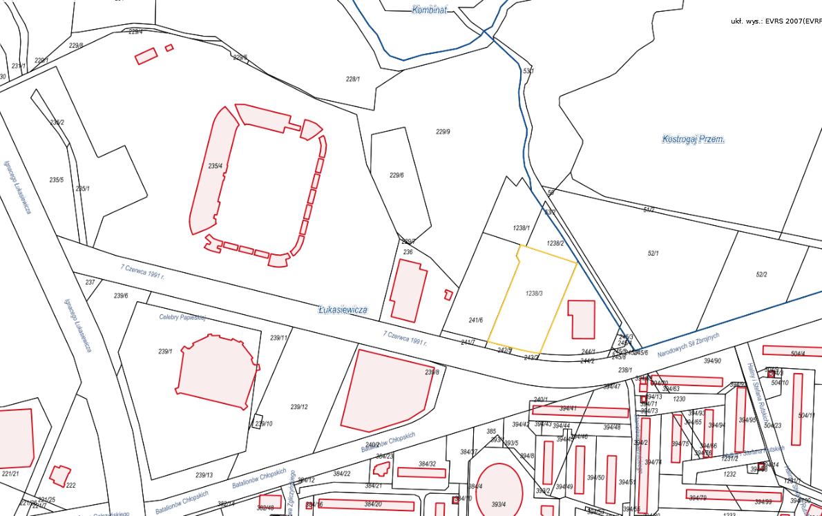
zamiany nieruchomości położonej w Płocku przy ul. Narodowych Sił Zbrojnych, oznaczonej jako działka nr 1238/3, stanowiącej własność Gminy-Miasto Płock, na nieruchomości położone w Płocku przy ul. Jędrzejewo, oznaczone jako działki nr 7/9 i 7/12, stanowiące własność Rynex Sp. z o. o. (druk nr 362),
13.
określenia wzoru deklaracji o wysokości opłaty za gospodarowanie odpadami komunalnymi (druk nr 363),
14.
ogłoszenia tekstu jednolitego uchwały w sprawie ustalenia zasad i warunków sytuowania obiektów małej architektury, tablic reklamowych i urządzeń reklamowych oraz ogrodzeń, ich gabarytów, standardów jakościowych oraz rodzajów materiałów budowlanych, z jakich mogą być wykonane na obszarze Miasta Płocka (druk nr 364),
15.
ustanowienia w Płocku roku 2026 Rokiem Kazimierza Mayznera (druk nr 352),
16.
ustanowienia w Płocku roku 2026 Rokiem Płockiego Czerwca 1976 (druk nr 365),
17.
zamiaru likwidacji Miejskiego Przedszkola nr 27 w Płocku (druk nr 366),
18.
zamiaru likwidacji Szkoły Podstawowej nr 13 im. Jana Brzechwy w Płocku (druk nr 367),
19.
zmiany w składzie osobowym Komisji Inwestycji, Rozwoju i Bezpieczeństwa Miasta Rady Miasta Płocka (druk nr 351),
20.
rozszerzenia składu osobowego Komisji Skarbu, Budżetu i Gospodarki Finansowej Rady Miasta Płocka (druk nr 350),
21.
rozpatrzenia petycji z dnia 28 sierpnia 2025 r. w przedmiocie stawek za odprowadzanie wód deszczowych (druk nr 372),
22.
skargi osoby fizycznej z dnia 2.09.2025 r. na dyrektora Miejskiego Przedszkola z Oddziałami Integracyjnymi nr 34 im. Kubusia Puchatka i Jego Przyjaciół w Płocku (druk nr 373).
II
etap – głosowanie nad zgłoszonymi wnioskami i projektami uchwał
8)
Sprawozdanie Prezydenta Miasta Płocka z pracy między sesjami.
9)
Sprawozdanie Przewodniczącego Rady Miasta Płocka z pracy między sesjami.
10)
Interpelacje i zapytania radnych.
11)
Odpowiedzi na interpelacje i zapytania radnych.
13)
Zamknięcie obrad XIX Sesji Rady Miasta Płocka.