Porządek obrad
1.
Przyjęcie porządku posiedzenia.
2.
Przyjęcie protokołu z posiedzenia Komisji Skarbu, Budżetu i Gospodarki Finansowej z 29 października 2025 roku.
3.
Informacja o zgłoszonych roszczeniach odszkodowawczych i wydanych decyzjach związanych z uchwaleniem lub zmianą miejscowych planów zagospodarowania przestrzennego.
4.
Analiza realizacji i perspektyw inwestycji strategicznych miasta Płocka.
5.
Przyjęcie planu pracy Komisji Skarbu, Budżetu i Gospodarki Finansowej na 2026 rok.
6.
Omówienie projektów uchwał na najbliższą sesję Rady Miasta Płocka w następujących sprawach:
1)
zmiany Wieloletniej Prognozy Finansowej Gminy-Miasto Płock na lata 2025-2050 (druk nr 370),
2)
zmieniająca Uchwałę Budżetową Miasta Płocka na rok 2025 (druk nr 371),
3)
określenia wzoru deklaracji o wysokości opłaty za gospodarowanie odpadami komunalnymi (druk nr 363),
4)
zasad udzielenia dotacji celowej z budżetu Gminy-Miasto Płock na dofinansowanie kosztów budowy przyłączy kanalizacji sanitarnej do nieruchomości (druk nr 355),
5)
ustalenia na 2026 rok wysokości opłat za usunięcie pojazdu z drogi na terenie miasta Płocka i przechowywanie go na parkingu strzeżonym oraz wysokości kosztów powstałych w wyniku wydania dyspozycji usunięcia pojazdu, a następnie odstąpienia od jego usunięcia (druk nr 357),
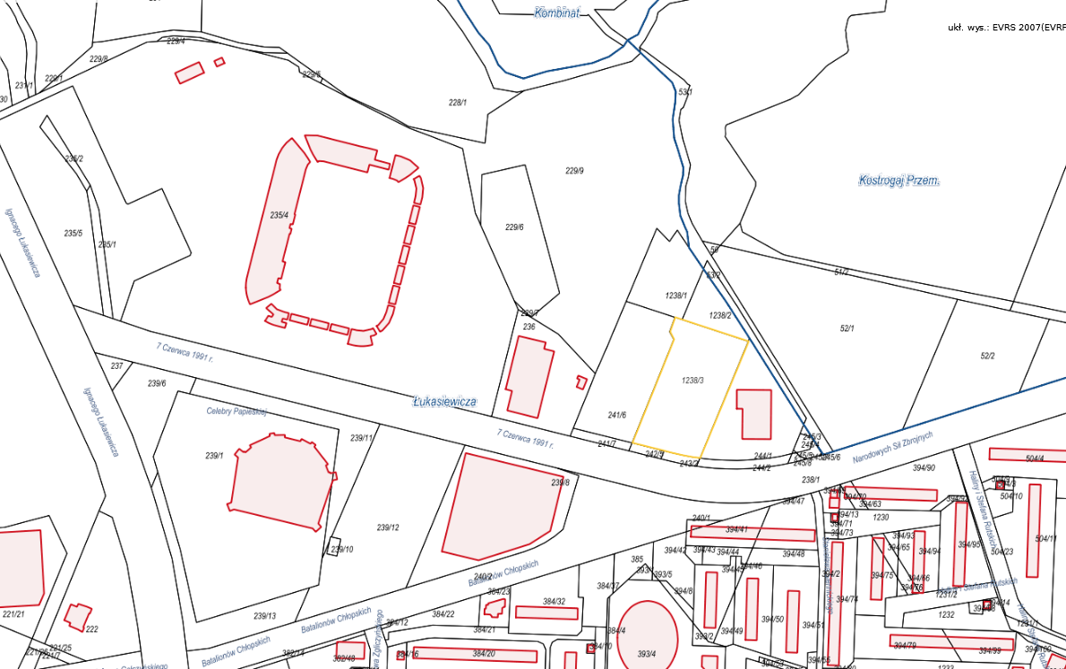
6)
zamiany nieruchomości położonej w Płocku przy ul. Narodowych Sił Zbrojnych, oznaczonej jako działka nr 1238/3, stanowiącej własność Gminy-Miasto Płock, na nieruchomości położone w Płocku przy ul. Jędrzejewo, oznaczone jako działki nr 7/9 i 7/12, stanowiące własność Rynex Sp. z o.o. (druk nr 362),
7)
ustanowienia w Płocku roku 2026 Rokiem Kazimierza Mayznera (druk nr 352),
8)
ustanowienia w Płocku roku 2026 Rokiem Płockiego Czerwca 1976 (druk nr 365),
9)
rozszerzenia składu osobowego Komisji Skarbu, Budżetu i Gospodarki Finansowej Rady Miasta Płocka (druk nr 350).
8.
Zakończenie posiedzenia.